Wohnbaugebiete
Grundstücksangelegenheiten
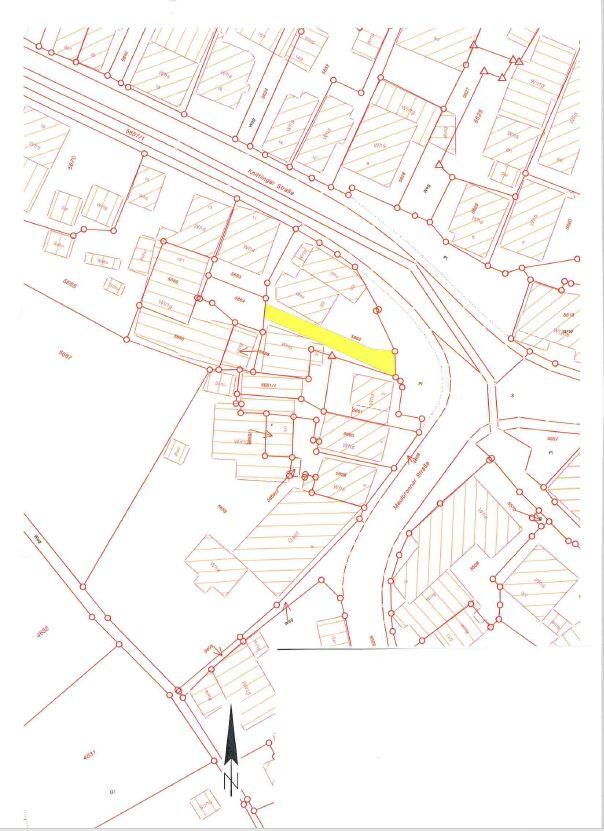
Die Stadt Knittlingen bietet im Bereich Lüßstraße 1 Grundstück zur Wohnbebauung an:
Flurstück 140/2 mit ca. 814 qm
Die Wohnbaugrundstücke befinden sich in einem festgesetzten Mischgebiet.
Der Kaufpreis beträgt 400 €/qm.
Der Bebauungsplan ist auf der Homepage der Stadt Knittlingen jederzeit zur Einsicht abrufbar.
Bei Interesse wenden Sie sich bitte an das Bauamt der Stadt Knittlingen,
Herrn Bauamtsleiter Kai Uwe Lang, Tel. 07043/373-30
oder richten Sie eine E-Mail an: bauamt@knittlingen.de
Fläche Wohnbebauung Knittlingen-Freudenstein
Fläche Wohnbebauung Knittlingen-Freudenstein
Anschrift:
Seewiesenstraße/Rosenstraße, Freudenstein
Beschreibung:
Die Fläche wird von der Stadtverwaltung Knittlingen zur Reihen- und Doppelhausbebauung verkauft. Insgesamt ist die Fläche 3.116 m2 groß. Die Fläche setzt sich aus zwei Flurstücken zusammen, die nur gemeinsam erworben werden können.
Der Bauplatz liegt direkt neben der Mehrzweckhalle Freudenstein an der Knittlinger Straße.
Die Grundstücke grenzen direkt an der Weißach an. Im Flächennutzungsplan ist im oberen Teil der Fläche ein Grünstreifen eingetragen.
Hier kommen Sie zur Anzeige mit Bildern.
Kontakt:
Stadtbauamt Knittlingen
07043/373-31
Marktstraße 17
75438 Knittlingen
www.knittlingen.de
Baulandportal
Eine Übersicht über alle Wohnbaugebiete in Knittlingen erhalten Sie über das Bauland- und Immobilienportal.
Neubaugebiet "Am Römerweg"
Die Stadt Knittlingen bietet Grundstücke für eine Bebauung mit Einzel-, Doppel- oder Reihenhäusern an. Die Grundstücksgrößen liegen je nach Nutzung zwischen 200 m² bis zu 800 m². Kaufpreise auf Anfrage.
Zur Zeit stehen im Neubaugebiet "Am Römerweg" leider keine Bauplätze zur Verfügung!
Ansprechpartner
Ansprechpartner für Interessenten an den Wohnbaugebieten ist die Stadt Knittlingen.
Herr Lang / Bauamt
Fon: 07043 373-31
Fax: 07043 373-90
E-Mail an das Bauamt




